UPDATE: Apple Valley Police Release Details on Multi-Vehicle Crash at County Road 11 and McAndrews Road

Published: January 12, 2026 | Last Updated: January 14, 2026 at 9:50 am.

APPLE VALLEY, MINNESOTA - The Apple Valley Police have released additional details following the multi-vehicle crash on Monday evening that temporarily closed eastbound McAndrews Road and caused significant traffic delays.

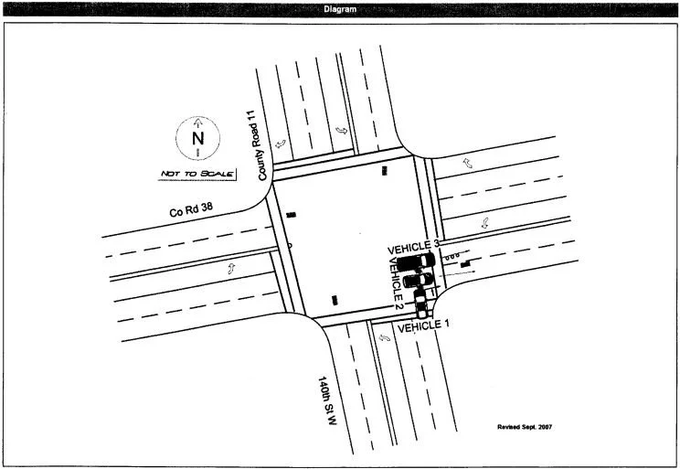
At approximately 4:50 p.m. on Monday, January 12, 2026, first responders were dispatched to the intersection of County Road 11 (140th Street West) and McAndrews Road for reports of a crash involving multiple vehicles and possible injuries. The collision was initially reported as involving four vehicles, but it was actually three, with one truck on its side, completely blocking the eastbound lanes of McAndrews Road.

According to the crash report from the Apple Valley Police Department, Vehicle 1 (V1) was traveling northbound on County Road 11 when it entered the intersection against a red light at McAndrews Road. V1 struck Vehicle 2 (V2), which caused V2 to collide with Vehicle 3 (V3). V3 rolled onto the passenger side as a result of the impact.

State crash report from the Apple Valley Police Department.

The driver of V3 was trapped inside the vehicle and had to be extricated by emergency responders. Police confirmed that both V2 and V3 had green lights and were traveling eastbound on McAndrews Road while crossing County Road 11 at the time of the crash. The driver of V1 admitted to officers that they ran the red light and stated they may have fallen asleep prior to the collision. The driver also admitted they did not have insurance on the vehicle.

Multiple witnesses told officers that V1 was traveling northbound on County Road 11 when it ran the red light and struck V2, which then collided with V3 and another vehicle traveling eastbound through the intersection.

Drivers of V2 and V3 suffered minor injuries and were transported to Fairview Ridges Hospital via Allina Ambulance for treatment. All three vehicles involved were towed from the scene.

Police issued citations to the driver of V1 for running a red light and for operating a vehicle without insurance. The crash remains under investigation.

Due to the crash and emergency response, motorists experienced significant delays in the area as crews treated patients, removed damaged vehicles, and cleared the roadway.

Limitless Media News will continue to provide updates if additional information is released.

Location of the multi-vehicle crash.

Written by: Will Wight



Subscribe to Limitless Media News!

* indicates required
Select the regions you want to get news about!
Previous
Previous

State of Minnesota, St. Paul/Minneapolis Sue to Halt ICE “Surge,” Alleging Constitutional Violations

Next
Next

Semi and Pickup Collide at Highway 52 and Pine Bend Trail; Driver Arrested for Suspected DWI